Cần bán nhà riêng tại Cô Giang, Quận 1, Hồ Chí Minh
Quận 1, Hồ Chí Minh
₫ 99 tỷ
(₫ 165,000,000 / m2)
-
600 m2
-
Nhà riêng
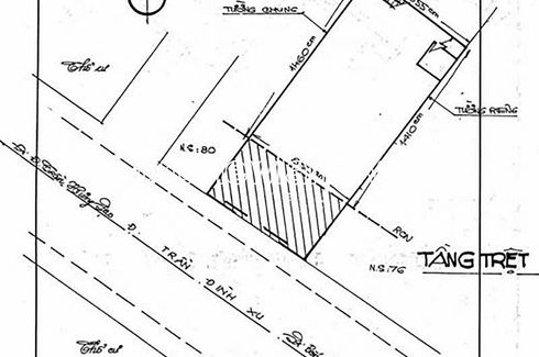
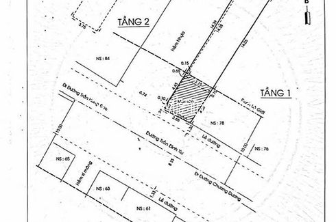
Bán nhà mặt phố Quận 1, mặt tiền đường Võ Văn Kiệt, Cô Giang, Quận 1, Hồ Chí Minh, sổ hồng hoàn công hẳn hoi, diện tích đất 270m2, ngang khoảng 7x40m, diện tích sử dụng 600m2- Kết cấu 1 trệt + 4 tầng, hướng Đông - Nam- Cách chợ Bến Thành trong bán kính 2 km, vị trí thuận tiện cho làm văn phòng, buôn bán, kinh doanh, thuận...