Bán nhà góc 3 mặt tiền Khổng Tử, Thủ Đức, 50x30m đất, vị trí cực đẹp, tiên kinh doanh
Hồ Chí Minh, Quận Thủ Đức, Bình Thọ
Giá bán: ₫ 160 tỷ
Mô tả chi tiết
ID tin rao: ffbf39b2-05a6-4b35-b38b-24a28214d597
Cần bán nhà riêng tại Bình Thọ, Quận Thủ Đức, Hồ Chí Minh
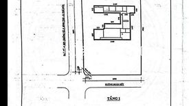
Bán nhà góc 3 mặt tiền Khổng Tử - Công Lý - Đoàn Kết, thành phố Thủ Đức, gần chợ Kiến Thiết, Vincom, Coopmart, …Bán kính 2km đổ lại không thiếu tiện ích gì
- Diện tích ngang 50mx30m, diện tích khu vực 1550m2, thổ cư
- Vị trí đẹp thích hợp kinh doanh mọi ngành nghề
Giá bán: 160 tỷ ~ 103.2 triệu/m2 ( Xin lưu tâm giá bán có thể tăng hoặc giảm, hoặc ngừng bán, Tùy theo nhu cấu thị trường)
- Diện tích ngang 50mx30m, diện tích khu vực 1550m2, thổ cư
- Vị trí đẹp thích hợp kinh doanh mọi ngành nghề
Giá bán: 160 tỷ ~ 103.2 triệu/m2 ( Xin lưu tâm giá bán có thể tăng hoặc giảm, hoặc ngừng bán, Tùy theo nhu cấu thị trường)
Telephone number:
Thông tin chính
-
Diện tích đất: 1,550 m2
Tiện nghi
-
Internet
-
Water
-
Alarm
