Selling corner house with 3 fronts on Confucius Thu Duc, 50x30m of land, nice location
Ho Chi Minh, Thu Duc District, Binh Tho
Sale: ₫ 160 billion
Full description
Listing ID: fcad8d4e-7fe0-4006-a33a-ffd797ef9e58
House for sale in Binh Tho, Ho Chi Minh
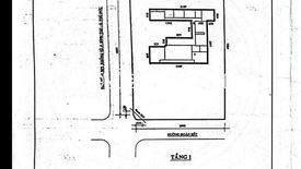
House for sale in Thu Duc with 3 frontages Confucius - Justice - Doan Ket, Thu Duc city, near Kien Thiet market, Vincom, Coopmart, ... 2km radius and no lack of amenities
- Horizontal area 50mx30m, area 1550m2, residential
- Beautiful location suitable for all businesses
Selling price: 160 billion vnd~ 103.2 million vnd/m2 (Please note that the selling price may increase or decrease, or stop selling, depending on market demand)
- Horizontal area 50mx30m, area 1550m2, residential
- Beautiful location suitable for all businesses
Selling price: 160 billion vnd~ 103.2 million vnd/m2 (Please note that the selling price may increase or decrease, or stop selling, depending on market demand)
Telephone number:
Key features
-
Land area: 1,550 m2
Facilities
-
Internet
-
Water
-
Alarm
