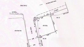
Land for sale in District 2, facing Thai Ly Street, Thao Dien Ward, 127m2, with land title deed
Ho Chi Minh, District 2, Thao Dien
Sale: ₫ 49 billion
Full description
Listing ID: 019cfef1-8dda-7248-bd8d-16f4890e67a7
Land for sale in Thao Dien, Ho Chi Minh
Land lot for sale in District 2, frontage street 41, Thao Dien ward, Thu Duc City. Area: 127m2, pink book. North and West direction
- Location: located on the frontage street 41, bustling area, next to office building complexes convenient for business, office use, rental, Bar & Pub serving Western guests.
💰 Selling price: 49 billion VND ~ 385 million VND/m² ~ $1,863,117 (Exchange rate: 26.300 VND/USD) (calculated on 127.4 m²) (Please note that the selling price may increase or decrease, or stop selling, depending on market demand and the homeowner)
- Location: located on the frontage street 41, bustling area, next to office building complexes convenient for business, office use, rental, Bar & Pub serving Western guests.
💰 Selling price: 49 billion VND ~ 385 million VND/m² ~ $1,863,117 (Exchange rate: 26.300 VND/USD) (calculated on 127.4 m²) (Please note that the selling price may increase or decrease, or stop selling, depending on market demand and the homeowner)
Telephone number:
Key features
-
Land area: 127 m2
