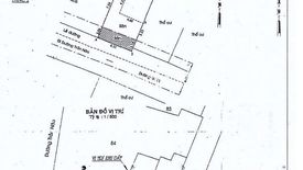
Land for sale in Tran Nao, including 2 lots, total 425m2 of land, 100% residential
Ho Chi Minh, District 2, Binh An
Sale: ₫ 150 billion
Full description
Listing ID: c4de8e4d-59e6-459d-8abb-30fefd679403
Land for sale in Binh An, Ho Chi Minh
Land for sale in Tran Nao, District 2, Thu Duc city, including 2 beautiful lots, total area 425m2, width 14.5m, 100% residential land. Beautiful lot with 2 frontages on Street 12
- Construction area has 1 basement + 7 floors or more
- Central location, many streets with many offices, small businesses, service apartments... Quiet and secure area.
Total selling price of 2 lots: 150 billion vnd ~ 352.9 million vnd/m2 ~ $5,882,352 (Exchange rate: 25,500 VND/USD)
- Construction area has 1 basement + 7 floors or more
- Central location, many streets with many offices, small businesses, service apartments... Quiet and secure area.
Total selling price of 2 lots: 150 billion vnd ~ 352.9 million vnd/m2 ~ $5,882,352 (Exchange rate: 25,500 VND/USD)
Telephone number:
Key features
-
Land area: 425 m2
