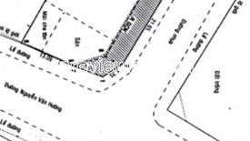
Land for sale 2 frontages on Nguyen Van Huon, with an area of 625m2 of land, owner's red book
Ho Chi Minh, District 2, Thao Dien
Sale: ₫ 200 billion
Full description
Listing ID: 6f6ff81a-5876-41f1-a6e2-a517bf1e633c
Land for sale in Thao Dien, Ho Chi Minh
Land for sale with 2 frontages on Nguyen Van Huong street and internal frontage, Thao Dien Ward, City. Thu Duc (former District 2)
- Land area 624.8m2, recognized 491.5m2 of residential land
- Internal area: 10m wide road for cars to enter and exit comfortably, the area is not flooded, convenient for travel. Near British and American international schools and all local amenities
Selling price: 200 billion vnd (Please note that the selling price may increase or decrease, or stop selling, depending on market demand)
- Land area 624.8m2, recognized 491.5m2 of residential land
- Internal area: 10m wide road for cars to enter and exit comfortably, the area is not flooded, convenient for travel. Near British and American international schools and all local amenities
Selling price: 200 billion vnd (Please note that the selling price may increase or decrease, or stop selling, depending on market demand)
Telephone number:
Key features
-
Land area: 625 m2
