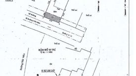
Land for sale facing Tran Nao, including 2 lots, total area 425m2, width 14.5m, 100% residential
Ho Chi Minh, District 2, Binh An
Sale: ₫ 150 billion
Full description
Listing ID: 1d0ccaa4-2ba4-4689-93ec-b17acc69c623
Land for sale in Binh An, Ho Chi Minh
Land for sale facing Tran Nao, District 2, Thu Duc city, including 2 beautiful lots, total area 425m2, width 14.5m, 100% residential land. Beautiful lot with 2 frontages on Street 12
- Construction area has 1 basement + 7 floors or more
- Central location, many streets with many offices, small businesses, service apartments... Quiet and secure area.
Total selling price of 2 lots: 150 billion vnd ~ 352.9 million vnd/m2
- Construction area has 1 basement + 7 floors or more
- Central location, many streets with many offices, small businesses, service apartments... Quiet and secure area.
Total selling price of 2 lots: 150 billion vnd ~ 352.9 million vnd/m2
Telephone number:
Key features
-
Land area: 425 m2
