House for sale at Xuan Thuy Thao Dien Thu Duc with 514m2
Ho Chi Minh, District 2, Thao Dien
Sale: ₫ 231.15 billion
Full description
Listing ID: def10c40-fb6c-4571-8cb7-25b8e1851857
Townhouse for sale in Thao Dien, Ho Chi Minh
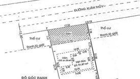
House for sale in Thao Dien right in front of Xuan Thuy, Thao Dien, Thu Duc. The house has a land area of 17.54x21.8m = 513.68m2, width 17.54m, wide frontage, current state of the house level 4. The house has been licensed to build a house consisting of 2 basements, 1 ground floor, 1 mezzanine, 7 floors, attic with elevator. Construction rate 75%, factor 5.
House for sale in Xuan Thuy Thao Dien owns a beautiful location, right in the center of Thao Dien, convenient traffic area, focus on many utilities, near Thao Dien market, park, commercial center, International school, hospital, ... suitable for business, building office, villas.
Selling price: 231.15 Billion VND ~ 450 Million VND/m2.
Note:
- Price and empty real estate to change without prior notice from the Owner.
- The number of products for sale and rent is always changing from day to day.
- The products on the Proviewland Website are only a small part of the total sales and rental cart. Please contact us directly for more options.
House for sale in Xuan Thuy Thao Dien owns a beautiful location, right in the center of Thao Dien, convenient traffic area, focus on many utilities, near Thao Dien market, park, commercial center, International school, hospital, ... suitable for business, building office, villas.
Selling price: 231.15 Billion VND ~ 450 Million VND/m2.
Note:
- Price and empty real estate to change without prior notice from the Owner.
- The number of products for sale and rent is always changing from day to day.
- The products on the Proviewland Website are only a small part of the total sales and rental cart. Please contact us directly for more options.
Telephone number:
